Sperrung der A 61 aufgehobenWeltkriegsbombe in Erftstadt entschärft

In Erftstadt wurde eine Weltkriegsbombe gefunden.
Copyright: Eric Lamparter
Erftstadt-Dirmerzheim – Bei Kanalbauarbeiten ist am Mittwoch im Bereich des Tilmannswegs in Erftstadt-Dirmerzheim eine englische Fünf-Zentner-Weltkriegsbombe gefunden worden. Die Bombe wurde noch am Mittwochabend entschärft, im Vorfeld musste jedoch unter anderem die A 61 gesperrt werden, zahlreiche Anwohnerinnen und Anwohner mussten ihre Wohnungen und Häuser verlassen.
Hier finden Sie alle Informationen rund um die Entschärfung.
17.30 Uhr: Die Bombe konnte entschärft werden

Die Bombe konnte gegen 17.25 Uhr entschärft werden.
Copyright: Eric Lamparter
Wie die Stadt Erftstadt gegen 17.25 Uhr bekanntgegeben hat, konnte die Weltkriegsbombe erfolgreich entschärft werden. Die Anwohnerinnen und Anwohner können jetzt in ihre Wohnungen und Häuser zurückkehren, die A 61 wird wieder freigegeben.
16.45 Uhr: Entschärfung der Bombe beginnt
Die Evakuierung ist laut Stadt Erftstadt abgeschlossen. Damit könne die Entschärfung der Weltkriegsbombe jetzt beginnen.
15.45 Uhr: A 61 soll ab 16.15 Uhr gesperrt werden
Die Autobahn GmbH hat bekanntgegeben, dass die A 61 in Fahrtrichtung Koblenz ab 16.15 Uhr zwischen der Anschlussstelle Türnich und dem Autobahndreieck Erfttal vollständig gesperrt wird. Die Autobahn GmbH geht davon aus, dass die Entschärfung circa 30 Minuten dauern wird.

Das Ordnungsamt ist in Erftstadt von Haus zu Haus gegangen.
Copyright: Eric Lamparter
In Fahrtrichtung Koblenz wird der Verkehr bereits an der Anschlussstelle Türnich abgeleitet. In Fahrtrichtung Venlo gibt es aufgrund der Sperrung der A 61 keine weiteren Einschränkungen. Der Verkehr kann also weiterhin an der Anschlussstelle Gymnich auf die A 61 auffahren, teilt eine Sprecherin mit.
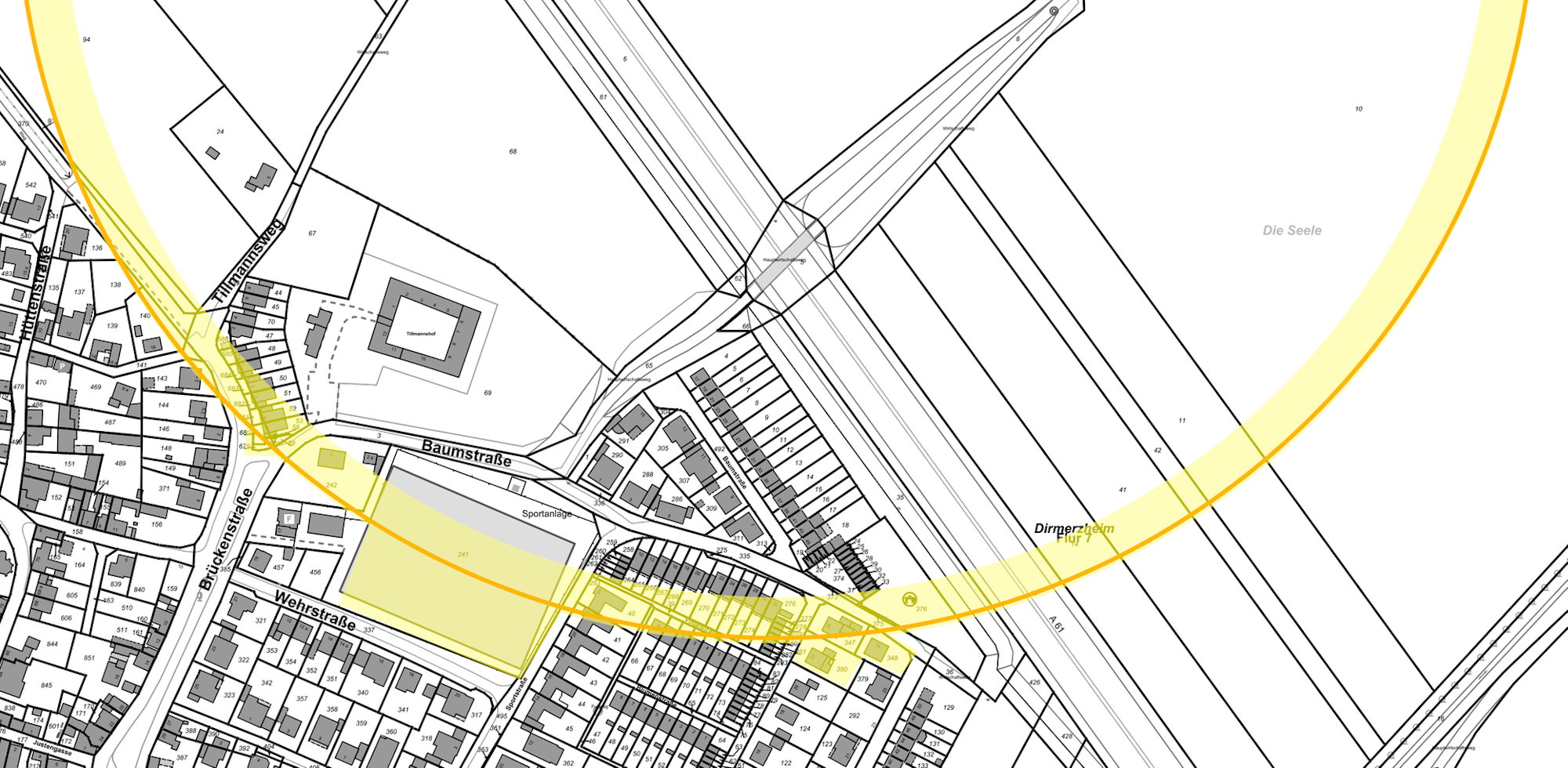
14 Uhr: Stadt gibt Evakuierungsradius bekannt
Experten des Kampfmittelräumdienstes, der Polizei, der Feuerwehr und des Ordnungsamtes seien aktuell vor Ort, berichtet ein Stadtsprecher. Es sei eine Evakuierung in einem 400-Meter-Radius um die Fundstelle vorgesehen.
Das Gebiet innerhalb des gelben Kreises wird vermutlich von der Evakuierung betroffen sein. Es soll an 14 Sperrpunkten abgeriegelt werden.

Die A 61 bei Erftstadt muss gesperrt werden.
Copyright: Stadt Erftstadt
Der SAE (Stab für außergewöhnliche Ereignisse) der Stadt organisiert aktuell die Evakuierung. Laut Stadt sollen 150 Personen betroffen sein (Stand: 14.30 Uhr). Sie sollen noch vor Einbruch der Dunkelheit ihre Häuser verlassen, damit die Entschärfung am späten Nachmittag oder frühen Abend beginnen kann, teilt die Stadt mit. Für die betroffenen Bürger wurde in der Dirmerzheimer Bürgerhalle eine Sammelunterkunft eingerichtet.
Autobahn 61 bei Erftstadt muss gesperrt werden
Die Bevölkerung wird vor Ort über Lautsprecherdurchsagen informiert. Aktuelle Informationen werden zudem auf der städtischen Facebookseite und auf der Seite der Stadt veröffentlicht. Unter 02235/409-112 wurde eine Bürger-Telefonhotline eingerichtet.

Das Gebiet, das nach aktuellem Stand evakuiert werden muss.
Copyright: Stadt Erftstadt
Der Nahverkehr und die Ortsdurchfahrt Dirmerzheim werden nach aktuellem Stand nicht betroffen sein. Die Autobahn A 61 muss laut Stadt jedoch während der Entschärfung kurzzeitig gesperrt werden.
Das könnte Sie auch interessieren:
Mit der Sperrung soll kurz vor der Entschärfung begonnen werden. Das gleiche gelte auch für die K 46. Auch der Luftraum wird bis zu einer Höhe von 1000 Metern über der Fundstelle betroffen sein. (ve)


